Climate change made Hurricane Melissa four times more likely, study suggests
Unusually warm ocean temperatures fueled one of the worst hurricanes ever. New research finds climate change increased the storm’s likelihood. Melissa missed Florida. We may not be so lucky next time.
This article originally appeared on Inside Climate News, a nonprofit, non-partisan news organization that covers climate, energy and the environment. Sign up for their newsletter here.
By Kiley Price
Inside Climate News
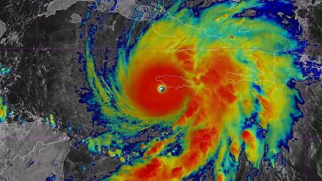
Fueled by unusually warm waters, Hurricane Melissa last week turned into one of the strongest Atlantic storms ever recorded. Now a new rapid attribution study suggests human-induced climate change made the deadly tropical cyclone four times more likely.
Hurricane Melissa collided with Jamaica on Tuesday, wreaking havoc across the island before tearing through nearby Haiti and Cuba. The storm, which reached Category 5, reserved for the hurricanes with the most powerful winds, has killed at least 40 people across the Caribbean so far.
Early reports of the damage are cataclysmic, particularly in hardest-hit western Jamaica. Winds reaching speeds of 185 miles per hour and torrential rain flattened entire neighborhoods, decimated large swaths of agricultural lands and forced more than 25,000 people—locals and tourists alike—to seek cover in shelters or hotel ballrooms. According to the new attribution study from Imperial College London, climate change ramped up Melissa’s wind speeds by 7 percent, which increased damages by 12 percent.
Losses could add up to tens of billions of dollars, experts say.
The findings echo similar reports released earlier on how global warming contributed to the likelihood and severity of Hurricane Melissa. Each of the analyses add to a growing body of research showing how ocean warming from climate change is fueling the conditions necessary for stronger tropical storms.
Hurricane Melissa is “kind of a textbook example of what we expect in terms of how hurricanes respond to a warming climate,” said Brian Soden, a professor of atmospheric sciences at the University of Miami, who was not involved in the recent analyses. “We know that the warming ocean temperatures [are] being driven almost exclusively by increasing greenhouse gases.”
The storm has disrupted every aspect of life in this part of the Caribbean.
“There’s been massive dislocation of services. We have people living in shelters across the country,” Dennis Zulu, United Nations resident coordinator in Jamaica, said in a press conference on Wednesday. “What we are seeing in preliminary assessments is a country that’s been devastated to levels never seen before.”
The Climate Connection
For the rapid attribution study, researchers at Imperial College used the peer-reviewed Imperial College Storm Model, known as IRIS, which has created a database of millions of synthetic tropical cyclone tracks that can help fill in gaps on how storms operate in the real world.
The model essentially runs simulations on the likelihood of a given storm’s wind speed—often the most damaging factor—in a pre-industrial climate versus the current climate. Applying IRIS to Hurricane Melissa is how the researchers determined that human-induced warming supercharged the cyclone’s wind speed by 7 percent.
The model suggested that a hurricane this severe was exceptionally rare in the region, only likely to make landfall in Jamaica once every 8,000 years, in the cooler world of the pre-industrial past.
With the level of warming since then—2.3 degrees Fahrenheit—such a storm is now expected once every 1,700 years, the study found.
The model can also help estimate direct economic loss on physical assets from a storm, and found that at least 12 percent of the economic damage during a Melissa-like disaster can be attributed to climate change compared to the pre-industrial baseline.
Across the Caribbean, damages and economic losses could add up to as much as $52 billion, according to early estimates from forecasting company AccuWeather. For Jamaica, which has a gross domestic product of around $20 billion, such losses could be devastating for years to come, said study co-author Ralf Toumi, co-director of the Grantham Institute – Climate Change and the Environment at Imperial College London.
“If any of these numbers come anywhere near the truth, it’s going to be extremely difficult for them to deal with,” Toumi said. “I hope those numbers are wrong.”
Rapid climate attribution studies are becoming increasingly common as scientists attempt to reduce the speculation and misinformation that extreme weather events often trigger. Soden said that this type of quantitative analysis can help hammer home climate impacts at the time people are thinking about them the most.
“I’m glad to see groups doing more of this kind of work,” he said. “Rather than me saying, ‘Yeah, these things are kind of qualitatively consistent with what we expect in a warming climate,’ they can put numbers on it. … That, I think, carries more weight with the general public, scientists and policymakers.”
A Turbocharged Storm
Hurricane Melissa has broken several records on its destructive path through the Caribbean so far. It’s the strongest cyclone ever to hit Jamaica and the most intense recorded storm to make landfall in the Atlantic this late in the season.
Three days before making landfall, it went through two rounds of rapid intensification, which occurs when a hurricane’s wind speed increases by at least 35 miles per hour over a 24-hour period. This phenomenon is caused by several factors, including warm water, low wind shear and high atmospheric moisture.
Hurricane Melissa slowly traveled over unusually warm waters in the central Caribbean, gathering strength as it neared Jamaica. Water temperatures were 2.5 degrees Fahrenheit hotter than average, conditions made up to 700 times more likely due to human-caused climate change, according to an analysis from science nonprofit Climate Central.
Even more unique, the warm water extended deep below the surface, which “provided an enormous amount of energy to feed the hurricane,” said Brian Tang, a professor of atmospheric science at the University at Albany.
While the National Oceanic and Atmospheric Administration and research labs around the world are often largely accurate when it comes to predicting the path of a storm, including Melissa, forecasting rapid intensification can be much more challenging. Research suggests climate change could be increasing the likelihood of conducive conditions for rapid intensification.
“I think from a science perspective, it’s amazing to see such a strong storm in the Atlantic,” Tang said, adding that it’s more common in the waters off Asia, which experiences severe typhoons. Warm waters are “the energy for the storms, so that certainly helped turbocharge and accelerate that process so it was not only a rapid intensification, it was an extreme version of a rapid intensification.”
Jamaica bore the brunt of the impact, but many residents and visitors were prepared to seek shelter after a week of warnings. Officials in Cuba reported home collapses, widespread flooding and increased risk of landslides. Meanwhile, Haiti saw the highest death toll with at least 25 killed as the storm lashed out.
The United States is deploying disaster response teams to Caribbean countries impacted by Melissa, according to the State Department. Disaster experts have expressed concern in recent months over the Trump administration’s cuts to agencies that provide relief in the aftermath of disasters. In prior years, the U.S. Agency for International Development coordinated much of the disaster relief efforts in the Caribbean, but the Trump administration quickly dismantled the agency and officially shut it down July 1.
“It was not only a rapid intensification, it was an extreme version of a rapid intensification.”
— Brian Tang, University at Albany
Dana Sacchetti, the head of the Jamaica office of the World Food Programme, told NPR that the program was “able to secure funding from the U.S. government leading into the hurricane season earlier this year, which is going to be critical to help kickstart our operations and provide food assistance to those who are impacted and through support to nationally or regionally led responses.” However, he added that the country will need additional help from donors and governments.
The New York Times reported smaller crews than normal on the National Oceanic and Atmospheric Administration’s “Hurricane Hunter” missions due to the government shutdown, though former employees, acting as volunteers, stepped in to help fill the gaps. Overall, Tang did not notice a marked drop in accuracy on forecasts during Hurricane Melissa, which he said “really speaks to the dedication of NOAA and these federal employees to not only do their job but pick up the slack.”
However, he is concerned about the impact of constrained federal resources and staffing on hurricane forecasting in the U.S.
Federal employees are “under a lot of stress and I worry, how long are they going to be able to keep up?” he said. “While this season I don’t think we’ve seen any lapse … in the services they provide, I do worry going forward. Whenever a system is stressed like that, there’s a greater risk for a failure to occur, particularly if things get really busy.”
What do you think? Share your views by clicking on the COMMENTS link at the end of this newsletter. Thanks!
A big thank you to Inside Climate News for their work and for granting Tropic Press permission to republish this report. In additionalto original reporting, it is one of the missions of Tropic Press to share news and commentary with our readers that they might not otherwise be aware of. If you would like to support the work of Inside Climate News, you may consider making a donation here:
More online
Thank you for reading the Tropic Press newsletter. You also have access to the Tropic Press website for additional and previous posts, an archive of posts from our advice columnist, Miss Mingo, occasional guest commentaries such as this one, and information about The Strange Files series of mysterious adventures and other books.
J.C. Bruce, journalist and author, is the founder of Tropic Press. He holds dual citizenship in the United States of America and his native Florida. Forward this email to your friends. They will love you for it.
Thanks to our sponsor
Today’s report is brought to you by Tropic Press Books, home of The Strange Files. Interested in sponsoring these reports? Contact: Advertising@Tropic.Press
It’s good to share
Tropic Press is a reader-supported publication. Here’s a big shout-out to all our loyal subscribers. Feel free to forward this email to your friends so they can enjoy it too. The more people we reach, the greater community of like-minded people we build. This is your chance to be part of all that. Thank you.






Wish you could check my climate change proposal out on my substack! Also, hurricane mitigation which ultimately saves millions of fema/insurance claims a year! I appreciate your work!