Legislative Democrats urge DeSantis to declare emergency, fill food pantries
‘We are days away from a full-blown hunger emergency that will leave families without food during the holiday season.’
By Christine Sexton
Florida Phoenix
Florida Democrats in the Legislature are imploring Gov. Ron DeSantis to declare a state of emergency and use state money to buy food and direct it to food pantries as nearly 3 million people lose access to a federal food assistance program.
Led by Senate Democratic Leader Lori Berman, D-Boynton Beach, and her House counterpart Fentrice Driskell, D-Tampa, legislative Democrats sent DeSantis a letter Tuesday asking him to use his emergency powers to ensure the millions of Floridians who rely on the Supplemental Assistance Nutrition Program don’t go hungry when their benefits expire Saturday as a result of the federal government shutdown.
The letter also asks DeSantis to direct the Department of Children and Families, which administers the SNAP program, to coordinate with local food banks and their community partners to distribute the food immediately.
“For families already struggling under record food and housing costs, the loss of this critical support would be catastrophic,” the letter reads. “Local food banks and pantries have already reported overwhelming demand and depleted supplies. … We are days away from a full-blown hunger emergency that will leave families without food during the holiday season. The state cannot stand by.”
Florida Democratic Party Chair Nikki Fried added in a separate written statement: “This moment is bigger than politics. This is about showing up for our fellow Americans and keeping Floridians safe and fed.”
SNAP provides nutritional support for low-income seniors, people with disabilities living on fixed incomes, and other individuals and families with low incomes. Florida has the fourth largest SNAP enrollment nationwide with 2.94 million relying on the assistance for their food security, behind California, Texas, and New York. Nationwide, 41.7 million people rely on SNAP benefits, August 2025 data show.
The governor’s office didn’t immediately respond to Florida Phoenix’s request for comment.
The Democrats’ letter comes after the DeSantis administration posted a notice that SNAP benefits are about to expire.
The state notice was put up after the U.S. Department of Agriculture posted Friday that it would not tap into $6 billion in contingency funds to keep benefits intact for the coming month. It would take $9 billion to cover the costs of the SNAP program through November. But the federal memo, first reported by Axios, claims that SNAP contingency funds cannot be used to float the program during the shutdown, an assertion that has been disputed.
Contingency funds “are only available to supplement regular monthly benefits when amounts have been appropriated for, but are insufficient to cover, benefits. The contingency fund is not available to support FY 2026 regular benefits, because the appropriation for regular benefits no longer exists,” the memo says.
The partisan impasse has resulted in a 28-day government shutdown, which began Oct. 1, the start of the federal fiscal year.
“SNAP is one of the most effective programs for addressing hunger and food insecurity in the state,” the letter from the Democrats stated.
“Especially after the recent cuts stemming from President Trump’s One Big Beautiful Bill, Floridians cannot afford another day without action by the state. Florida has the fiscal strength to respond. What’s needed now is the moral will to act. No parent should have to choose between paying rent and feeding their kids. No child should go hungry because politicians in Washington can’t agree. We urge you to act immediately.”
“Heartless”
Berman said in prepared remarks that Florida has $5 billion in its “rainy day” fund that DeSantis could use to avert the food cliff low-income families face.
“The sudden loss of those benefits would be an economic and humanitarian nightmare,” she said. “With the stroke of a pen, the Governor can keep food on peoples’ tables. He has a responsibility to the people of this state to put partisanship aside and lead. Refusing to act would be truly heartless.”
Driskell said in her prepared remarks that the governor “brags” about “maxing out” the amount of savings in the state’s “rainy day” fund.
“If millions of hungry Floridians isn’t an economic storm, I don’t know what is,” she said, adding, “This is a crisis but an entirely solvable one. We can make sure Floridians do not go hungry. It costs a little more than $6 a day to feed someone. Isn’t every Floridian worth that?”
The letter also asks the governor to request the state Department of Agriculture and Consumer Services to implement the universal school meals programs for the duration of the emergency.
Related Story:
Democratic attorneys general and governors sue Trump over SNAP benefits
Reprinted from Florida Phoenix
This story is published on Tropic Press with permission of the Tallahassee-based online news service Florida Phoenix. You can follow the work of the excellent journalists at Florida Phoenix at:
Share your thoughts on this issue by clicking on the COMMENTS icon at the bottom of this post.
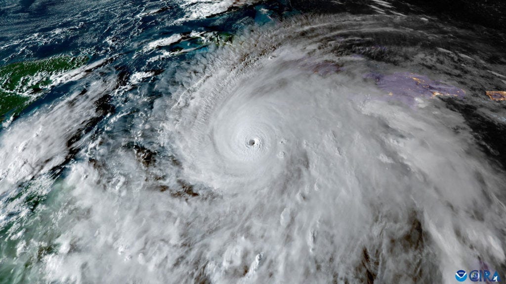
Hurricane relief
We can be thankful that Hurricane Melissa, one of the most powerful storms to ever rake over the Caribbean, did not hit Florida. But our neighbors in Jamaica and elsewhere are not so fortunate. What can we do to help them?
The South Florida SunSentinel suggests these organizations:
Direct Relief, which aims to provide medicines and other resources to those affected by Hurricane Melissa: directrelief.org or nba.com/heat
U.S. Caribbean Strong Relief Fund, managed by The Miami Foundation, supports disaster preparedness and long-term recovery efforts: miami.fcsuite.com/erp/donate
Global Empowerment Mission, based in Doral, delivers aid to people around the world: globalempowermentmission.org
Today is …
National Cat Day, recognizing that our feline friends are special and, in so many ways, not even remotely like us. As I report in my latest Florida Weekly column:
Your typical house cat, when you break down its DNA, is 95.6 percent tiger.
Cats may be the only mammals that don’t taste sweetness.
Cats have amazing night and peripheral vision, but they’re actually nearsighted.
Cats have more bones than humans—230 to our 206.
Male cats tend to be left-pawed, while females favor their right paws.
Today is also game 5 of the 2025 World Series. The Toronto Blue Jays and the Los Angeles Dodgers are tied 2-2.
Thought for the day
“A hungry man can’t see right or wrong. He just sees food.”
— Pearl S. Buck
Florida factual
Nearly 3 million Floridians receive SNAP benefits, which represents about 12.7 percent of the state’s population. The average monthly number of SNAP recipients in Florida during fiscal year 2024 was approximately 2.98 million people.
More online
Thank you for reading the Tropic Press newsletter. You also have access to the Tropic Press website for additional and previous posts, copies of the Monthly Memo, an archive of posts from our advice columnist, Miss Mingo, occasional guest commentaries, and information about The Strange Files series of mysterious adventures and other books.
J.C. Bruce, journalist and author, is the founder of Tropic Press. He holds dual citizenship in the United States of America and his native Florida. Forward this email to your friends. They will love you for it.
Thanks to our sponsor
Today’s report is brought to you by Tropic Press Books, home of The Strange Files. Interested in sponsoring these reports? Contact: Advertising@Tropic.Press
It’s good to share
Tropic Press is a reader-supported publication. Here’s a big shout-out to all our loyal subscribers. Feel free to forward this email to your friends so they can enjoy it too. The more people we reach, the greater community of like-minded people we build. This is your chance to be part of all that. Thank you.







Exactly like Trump, DeStupid will do nothing for anyone facing hunger simply because he cares nothing about any "marginalized" group. Pleas from Democrats will only make Destupid dig in his heels--you know, the ones with shoe lifts--and respond that it's the Democrats' fault that SNAP benefits are ending.
Deathsantis won't do anything!!! He's an ass!